最新釣果情報
2025.11.20(木)本日の釣果
さほど波風なく日差しがあり、いい釣り日和です。今日もグレは好調で、大きなチヌも釣れ、お客様の中には開いたアイゴを干している方もおられました。晩のおかずゲットですね。アオモノの姿を確認された方もおられます。
2025.11.19(水)本日の釣果
今日は気持ちの良いお天気で桟橋を歩いていたら暑いぐらいです、そんな中グレは好調で一人で30匹以上釣っている方もおられるんるんです。アオリイカも大きくなってきました。もう1匹追加との事。700gかな本日2杯目大きさはそろってます。
2025.11.18(火)本日の釣果
波もあり風が強く寒いです。冬です。昼からはすごい白波が立ち大荒れです。海南方向でしか釣れませんが今日もグレは好調です。4時前には雨も降り大しけ状態になっています。体の芯から冷えます。皆さん風邪をひかないよう気を付けて下さいね。
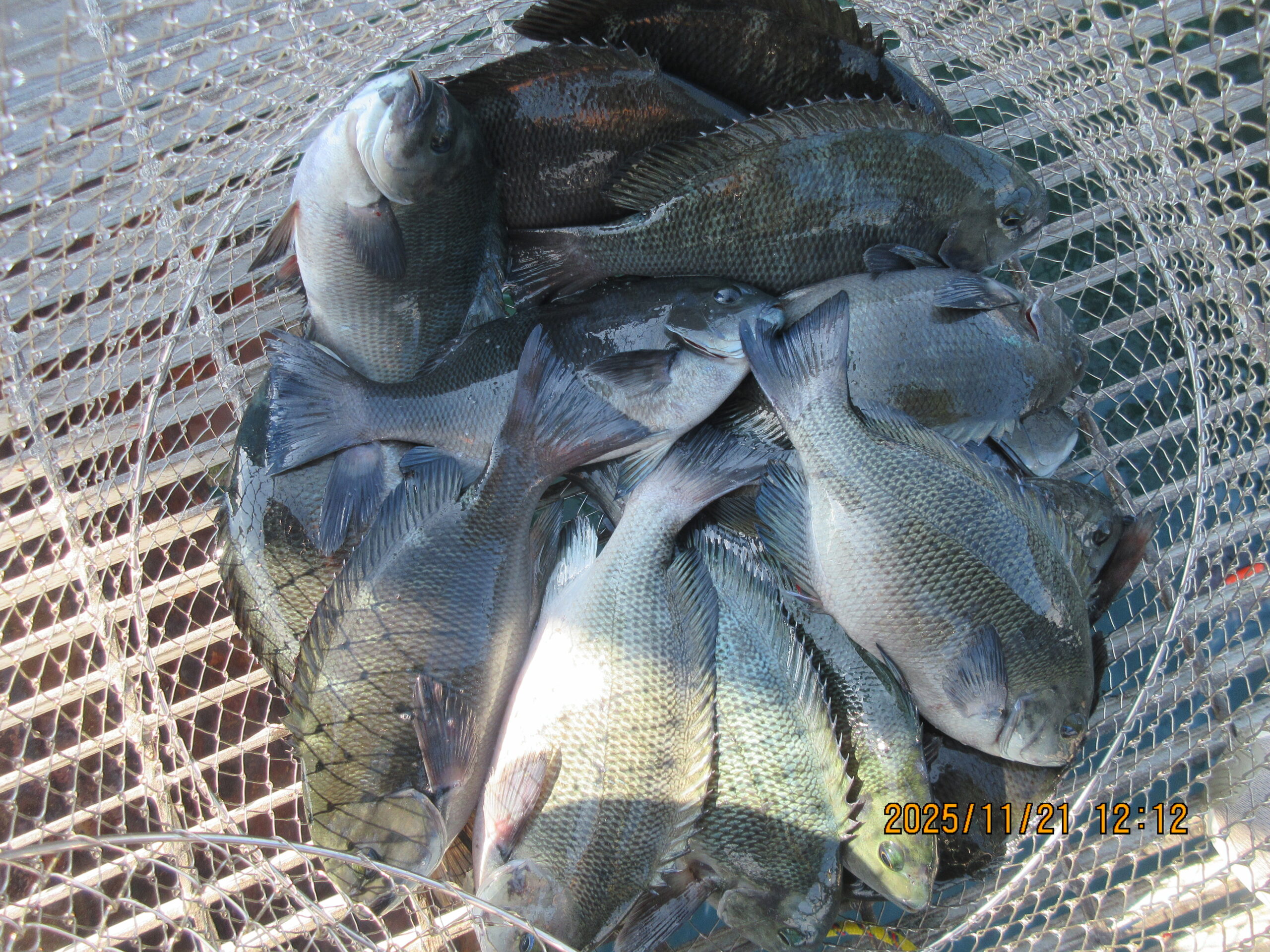
2025.11.17(月)本日の釣果
午前中は小春日和でいい塩梅でしたが、14時頃より少し風が涼しくなってきた様に感じました。本日も海の中はよく澄んでいて、グレ等みえていますが、思うようには釣れないと仰る方もいらっしゃいました。天気予報では、明日冷え込みますので暖かくしてお越しくださいませ。本日もご来園有難うございます。
2025.11.16(日)本日の釣果
暖かい小春日和です。今日もグレが好調でした。お昼過ぎ、あれハマチかなアオリイカかなと興奮気味に海を覗いている子供さんたち。今日は海の中がよく見えます。ハマチかは釣れなかったみたいですが楽しんでいただいたようで良かったです。。本日もご来園有難うございます。
2025.11.14(金)本日の釣果
少しの波と風はありますが何とか落ち着いて釣れそうですアジが回ってきてない様でアジ釣りの方は釣れていないです、グレ以外は1匹ずつが多く種類は釣れているのですが数は上がっていないようです。
2025.11.13(木)本日の釣果
引き続きグレが釣れています。定休日前の火曜日、グレ釣りのお客様がエサを撒いて帰ってくれたから木曜も釣れるよと言われてました。おっしゃるとおりでした。アジは厳しいですがお昼からハマチが釣れて良かったです。本日もご来園有難うございます。
